Continuando con la serie de artículos sobre Bareos vamos a ver como hacer backups de PostgreSQL bajo FreeBSD y Linux.
El artículo se compone de las siguientes secciones:
- Introducción
- Escenario FreeBSD/Linux
- Instalación de PostgreSQL
- RunScript
- Bpipe
- Postgres Python plugin
- Postgres Python plugin PITR
- Postgres Python plugin PITR Timelines
- Backup Incremental standby server
- Debug
Introducción:
Bareos nos permite realizar los backups de PostgreSQL de tres maneras distintas.
- RunScript(backup lógico): pg_dumpall, se dumpea la DB y se copia el dump, se necesita el doble de capacidad de almacenamiento.
- Bpipe(backup lógico): pg_dumpall pero se pasa el backup por streaming a Bareos, además la restauración puede ser en un fichero o en la propia DB directamente.
- Postgres Python plugin(backup físico): Backup físico de los ficheros
DATA_DIR/pg_wal
, permite PITR (Point in time Recovery).
Escenario FreeBSD/Linux:
Si estamos instalando PostgreSQL bajo FreeBSD este requiere de acceso a sysvipc
, en mi caso se trata de una jail mediante
Bastille
.
Si la jail no tiene acceso a sysvipc
obtendremos el siguiente error:
running bootstrap script ... 2024-11-01 07:11:16.834 CEST [23722] FATAL: could not create shared memory segment: Function not implemented
Generamos la jail y realizamos la configuración básica del sistema mediante un template de Bastille propio .
bastille create -T BareosClient 14.1-RELEASE 192.168.69.31 nfe0
bastille template BareosClient datadyne.alfaexploit.com/bastille-basicconfiguration
Permitimos el acceso a sysvipc
por jail, también se puede permitir de forma global en el host padre para todas las jails pero es preferible ser mas granular:
bastille config BareosClient set sysvmsg=new
bastille config BareosClient set sysvsem=new
bastille config BareosClient set sysvshm=new
bastille stop BareosClient
bastille start BareosClient
NOTA: No debemos utilizar allow.sysvipc
ya que se considera deprecated y otorga mas permisos de los estrictamente necesarios.
En cuanto a Linux vamos a montarlo sobre un contenedor LXD que no requiere acceso a ningún recurso en particular.
lxc launch ubuntu:noble/amd64 sys-bareos-client
Instalación de PostgreSQL:
Procedemos con la instalación del paquete, es preferible instalar la versión 16 de PostgreSQL ya que la 17 es parcialmente compatible con el plugin-python de Bareos solo permitiendo backups Full
.
pkg install postgresql16-server
Habilitamos el servicio:
sysrc postgresql_enable=yes
Inicializamos la base de datos:
service postgresql initdb
Arrancamos el servico:
service postgresql start
apt install postgresql postgresql-contrib
Creamos una base de datos y una tabla:
su postgres -c 'psql -c "CREATE DATABASE testkr0m;"'
su postgres -c 'psql -d testkr0m -c "CREATE TABLE employees (id SERIAL PRIMARY KEY, first_name VARCHAR(50), last_name VARCHAR(50), age INT, created_at TIMESTAMP DEFAULT CURRENT_TIMESTAMP);"'
Insertamos datos y comprobamos los resultados:
su postgres -c "psql -d testkr0m -c \"INSERT INTO employees (first_name, last_name, age) VALUES ('John', 'Doe', 30);\""
su postgres -c "psql -d testkr0m -c \"INSERT INTO employees (first_name, last_name, age) VALUES ('Jane', 'Smith', 25);\""
su postgres -c 'psql -d testkr0m -c "SELECT * FROM employees;"'
id | first_name | last_name | age | created_at
----+------------+-----------+-----+----------------------------
1 | John | Doe | 30 | 2024-11-02 10:33:12.5319
2 | Jane | Smith | 25 | 2024-11-02 10:33:12.555151
(2 rows)
RunScript:
La manera mas sencilla de realizar un backup es con RunScript , simplemente hay que configurar un comando de dump cuando se ejecute el job, copiar el fichero generado y eliminar el dump.
En el director
Creamos un FileSet que backupeará /etc
, /root
, /home
y los ficheros de configuración de PostgreSQL además del dump:
vi /usr/local/etc/bareos/bareos-dir.d/fileset/sys-postgres.conf
FileSet {
Name = "sys-postgres"
Include {
Options {
Signature = XXH128
Compression = LZ4
}
# System files:
File = /etc/
File = /root/
File = /home/
# Database config files:
File = /var/db/postgres/data16/postgresql.conf
File = /var/db/postgres/data16/pg_hba.conf
File = /var/db/postgres/data16/pg_ident.conf
# Database dump file:
File = "/var/tmp/postgresql_dump.sql"
}
}
vi /etc/bareos/bareos-dir.d/fileset/sys-postgres.conf
FileSet {
Name = "sys-postgres"
Include {
Options {
Signature = XXH128
Compression = LZ4
}
# System files:
# Linux: PostgreSQL config files postgresql.conf, pg_hba.conf and pg_ident.conf under /etc
File = /etc/
File = /root/
File = /home/
# Database dump file:
File = "/var/tmp/postgresql_dump.sql"
}
}
Cambiamos el FileSet y añadimos RunScript-Before
y RunScript-After
al job.
NOTA: Cuando Bareos ejecuta el script de dump en FreeBSD parece no encontrar el path al binario pg_dumpall
, así que debemos indicarle el path completo, en Linux no hay problema.
vi /usr/local/etc/bareos/bareos-dir.d/job/CLIENT_NAME-job.conf
Job {
Name = "CLIENT_NAME-job"
Client = "CLIENT_NAME-fd"
JobDefs = "DefaultJob"
Level = Full
FileSet="sys-postgres"
# This creates a dump of our database in the local filesystem on the client
RunScript {
FailJobOnError = Yes
RunsOnClient = Yes
RunsWhen = Before
# FreeBSD pg_dumpall absolute path
Command = "su postgres -c '/usr/local/bin/pg_dumpall > /var/tmp/postgresql_dump.sql'"
}
# This deletes the dump in our local filesystem on the client
RunScript {
RunsOnSuccess = Yes
RunsOnClient = Yes
RunsWhen = After
# FreeBSD bash absolute path
Command = "/usr/local/bin/bash -c 'rm /var/tmp/postgresql_dump.sql'"
}
}
vi /etc/bareos/bareos-dir.d/job/CLIENT_NAME-job.conf
Job {
Name = "CLIENT_NAME-job"
Client = "CLIENT_NAME-fd"
JobDefs = "DefaultJob"
Level = Full
FileSet="sys-postgres"
# This creates a dump of our database in the local filesystem on the client
RunScript {
FailJobOnError = Yes
RunsOnClient = Yes
RunsWhen = Before
# Linux
Command = "su postgres -c 'pg_dumpall > /var/tmp/postgresql_dump.sql'"
}
# This deletes the dump in our local filesystem on the client
RunScript {
RunsOnSuccess = Yes
RunsOnClient = Yes
RunsWhen = After
Command = "bash -c 'rm /var/tmp/postgresql_dump.sql'"
}
}
Reiniciamos el director:
service bareos-dir restart
systemctl restart bareos-dir
Procedemos a realizar el backup desde la interfaz web indicando el FileSet: Jobs -> Run
Debería de terminar sin dar problemas:
Eliminamos la base de datos desde la CLI de PostgresSQL:
su postgres -c 'psql -c "DROP DATABASE testkr0m;"'
su postgres -c 'psql -c "\l"'
List of databases
Name | Owner | Encoding | Locale Provider | Collate | Ctype | ICU Locale | ICU Rules | Access privileges
-----------+----------+----------+-----------------+---------+---------+------------+-----------+-----------------------
postgres | postgres | UTF8 | libc | C | C.UTF-8 | | |
template0 | postgres | UTF8 | libc | C | C.UTF-8 | | | =c/postgres +
| | | | | | | | postgres=CTc/postgres
template1 | postgres | UTF8 | libc | C | C.UTF-8 | | | =c/postgres +
| | | | | | | | postgres=CTc/postgres
(3 rows)
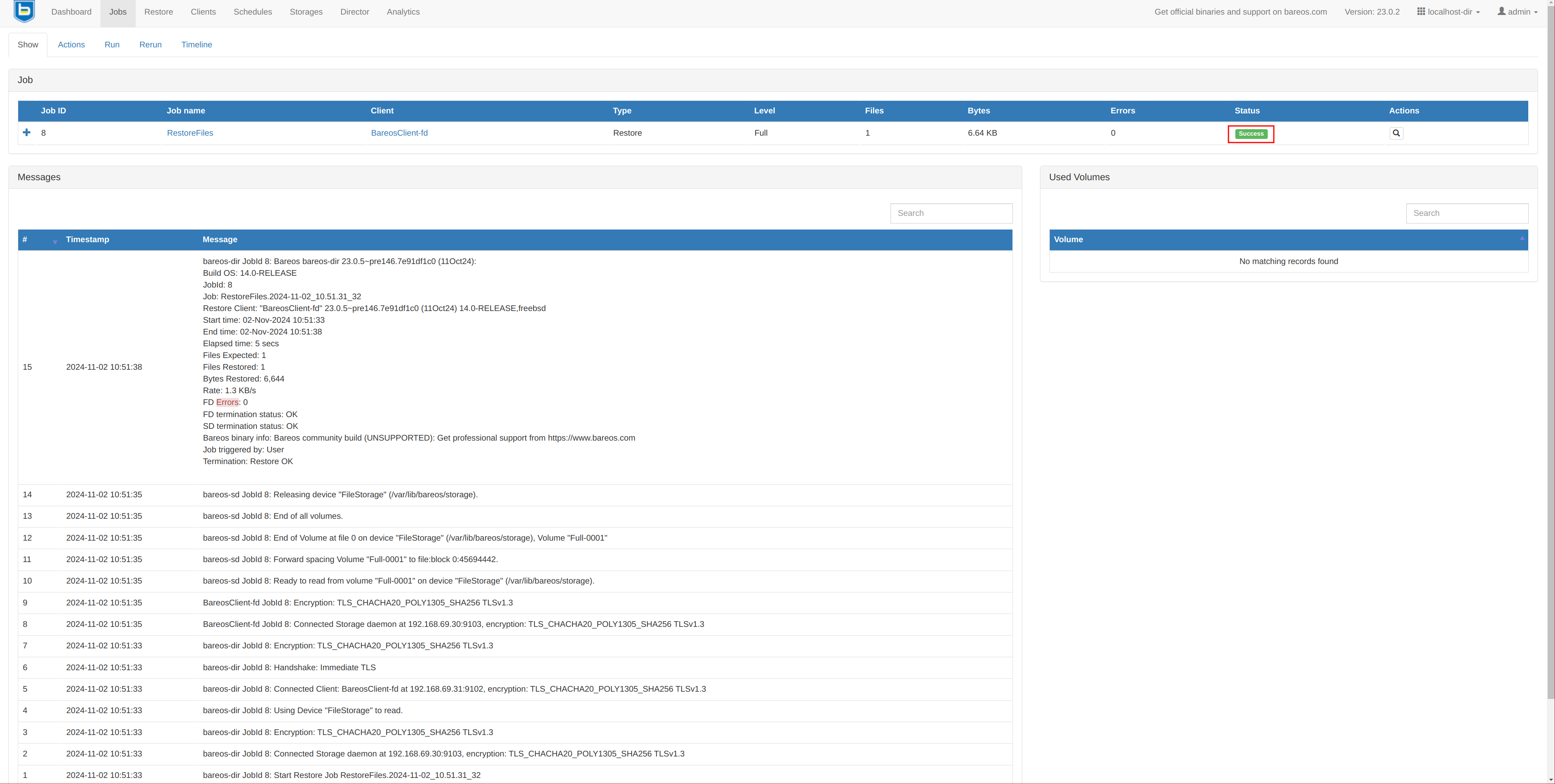
Procedemos con la restauración: Restore
Es muy important deshabilitar la opción “Merge all client filesets” ya que si no lo hacemos el árbol de ficheros a restaurar de la derecha será una vista de la combinación de todos los backups de este cliente, nosotros solo queremos los ficheros del backup indicado.
El job de restore debería de terminar correctamente:
Y en el servidor deberíamos de tener el fichero de backup:
ls -la /tmp/bareos-restores/var/tmp/postgresql_dump.sql
-rw-r----- 1 postgres wheel 4234 Nov 2 10:34 /tmp/bareos-restores/var/tmp/postgresql_dump.sql
Cargamos dicho dump a la DB:
su postgres -c psql < /tmp/bareos-restores/var/tmp/postgresql_dump.sql
Consultamos los datos restaurados:
su postgres -c 'psql -c "\l"'
List of databases
Name | Owner | Encoding | Locale Provider | Collate | Ctype | ICU Locale | ICU Rules | Access privileges
-----------+----------+----------+-----------------+---------+---------+------------+-----------+-----------------------
postgres | postgres | UTF8 | libc | C | C.UTF-8 | | |
template0 | postgres | UTF8 | libc | C | C.UTF-8 | | | =c/postgres +
| | | | | | | | postgres=CTc/postgres
template1 | postgres | UTF8 | libc | C | C.UTF-8 | | | =c/postgres +
| | | | | | | | postgres=CTc/postgres
testkr0m | postgres | UTF8 | libc | C | C.UTF-8 | | |
(4 rows)
su postgres -c 'psql -d testkr0m -c "SELECT * FROM employees;"'
id | first_name | last_name | age | created_at
----+------------+-----------+-----+----------------------------
1 | John | Doe | 30 | 2024-11-02 10:33:12.5319
2 | Jane | Smith | 25 | 2024-11-02 10:33:12.555151
(2 rows)
Bpipe:
Mediante Bpipe podremos dumpear la DB y streamear el dump directamente a Bareos, por lo tanto no es necesario almacenar el fichero de backup en local.
Este plugin viene instalado por defecto con el filedaemon tanto en FreeeBSD como en Linux:
file /usr/local/lib/bareos/plugins/bpipe-fd.so
/usr/local/lib/bareos/plugins/bpipe-fd.so: ELF 64-bit LSB shared object, x86-64, version 1 (FreeBSD), dynamically linked, for FreeBSD 14.0 (1400097), stripped
file /usr/lib/bareos/plugins/bpipe-fd.so
/usr/lib/bareos/plugins/bpipe-fd.so: ELF 64-bit LSB shared object, x86-64, version 1 (SYSV), dynamically linked, BuildID[sha1]=4e5dbae63a927968fe8626446740457a252ad1ee, stripped
En el cliente:
Para que Bpipe funcione debemos reconfigurar la parte relacionada con los plugins en el filedaemon:
vi /usr/local/etc/bareos/bareos-fd.d/client/myself.conf
Client {
Name = CLIENT_NAME-fd
Maximum Concurrent Jobs = 20
# remove comment from "Plugin Directory" to load plugins from specified directory.
# if "Plugin Names" is defined, only the specified plugins will be loaded,
# otherwise all filedaemon plugins (*-fd.so) from the "Plugin Directory".
#
# FreeBSD:
Plugin Directory = "/usr/local/lib/bareos/plugins"
Plugin Names = "bpipe"
}
Reiniciamos el filedaemon:
service bareos-fd restart
vi /etc/bareos/bareos-fd.d/client/myself.conf
Client {
Name = CLIENT_NAME-fd
Maximum Concurrent Jobs = 20
# remove comment from "Plugin Directory" to load plugins from specified directory.
# if "Plugin Names" is defined, only the specified plugins will be loaded,
# otherwise all filedaemon plugins (*-fd.so) from the "Plugin Directory".
#
# Linux:
Plugin Directory = "/usr/lib/bareos/plugins"
Plugin Names = "bpipe"
}
Reiniciamos el filedaemon:
systemctl restart bareos-fd
Aunque el backup se haga por streaming, se precisa de un directorio “virtual” para que Bareos pueda escribir/leer el backup.
mkdir /POSTGRESQL
En el director:
Bpipe precisa de tres parámetros:
- file: Path de un fichero que se utilizará temporalmente como pipe. Cuando restauremos debemos indicar este fichero.
- reader: Comando a ejecutar para obtener la salida que Bareos leerá y guardará en el backup.
- writer: Comando al que empiparemos la salida del restore.
Creamos un FileSet con la configuración de Bpipe.
vi /usr/local/etc/bareos/bareos-dir.d/fileset/sys-postgresBpipeDB.conf
FileSet {
Name = "sys-postgresBpipeDB"
Include {
Options {
Signature = XXH128
Compression = LZ4
}
# System files:
File = /etc/
File = /root/
File = /home/
# Database config files:
File = /var/db/postgres/data16/postgresql.conf
File = /var/db/postgres/data16/pg_hba.conf
File = /var/db/postgres/data16/pg_ident.conf
# Bpipe database dump
# FreeBSD pg_dumpall absolute path
Plugin = "bpipe:file=/POSTGRESQL/dump.sql:reader=su postgres -c '/usr/local/bin/pg_dumpall --clean':writer=su postgres -c /usr/local/bin/psql"
}
}
vi /etc/bareos/bareos-dir.d/fileset/sys-postgresBpipeDB.conf
FileSet {
Name = "sys-postgresBpipeDB"
Include {
Options {
Signature = XXH128
Compression = LZ4
}
# System files:
# Linux: PostgreSQL config files postgresql.conf, pg_hba.conf and pg_ident.conf under /etc
File = /etc/
File = /root/
File = /home/
# Bpipe database dump
# Linux
Plugin = "bpipe:file=/POSTGRESQL/dump.sql:reader=su postgres -c 'pg_dumpall --clean':writer=su postgres -c psql"
}
}
NOTA: Backupeamos con el --clean
. Esta opción agrega instrucciones SQL en el volcado para eliminar las bases de datos, roles y otros objetos antes de recrearlos.
Cambiamos el FileSet del job, tampoco hará falta ningún RunScript-Before
ni RunScript-After
:
vi /usr/local/etc/bareos/bareos-dir.d/job/CLIENT_NAME-job.conf
vi /etc/bareos/bareos-dir.d/job/CLIENT_NAME-job.conf
Job {
Name = "CLIENT_NAME-job"
Client = "CLIENT_NAME-fd"
JobDefs = "DefaultJob"
Level = Full
FileSet="sys-postgresBpipeDB"
}
Reiniciamos el director:
service bareos-dir restart
systemctl restart bareos-dir
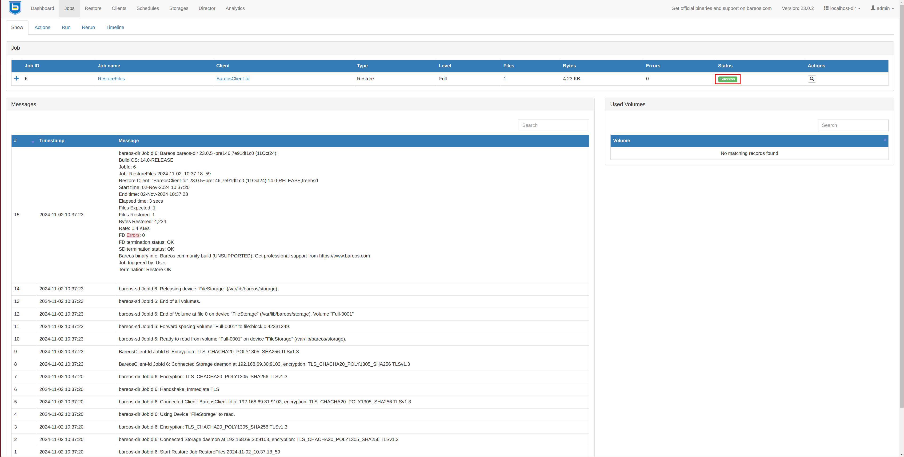
Procedemos a realizar el backup desde la interfaz web indicando el FileSet: Jobs -> Run
Debería de terminar sin dar problemas:
Eliminamos la base de datos desde la CLI de PostgresSQL:
su postgres -c 'psql -c "DROP DATABASE testkr0m;"'
su postgres -c 'psql -c "\l"'
List of databases
Name | Owner | Encoding | Locale Provider | Collate | Ctype | ICU Locale | ICU Rules | Access privileges
-----------+----------+----------+-----------------+---------+---------+------------+-----------+-----------------------
postgres | postgres | UTF8 | libc | C | C.UTF-8 | | |
template0 | postgres | UTF8 | libc | C | C.UTF-8 | | | =c/postgres +
| | | | | | | | postgres=CTc/postgres
template1 | postgres | UTF8 | libc | C | C.UTF-8 | | | =c/postgres +
| | | | | | | | postgres=CTc/postgres
(3 rows)
Procedemos con la restauración: Restore
Es muy important deshabilitar la opción “Merge all client filesets” ya que si no lo hacemos el árbol de ficheros a restaurar de la derecha será una vista de la combinación de todos los backups de este cliente, nosotros solo queremos los ficheros del backup indicado. Seleccionamos el fichero virtual /POSTGRESQL/dump.sql
en el árbol de la derecha.
El job de restore debería de terminar correctamente:
Si consultamos el PostgreSQL la base de datos debería de estar restaurada:
su postgres -c 'psql -c "\l"'
List of databases
Name | Owner | Encoding | Locale Provider | Collate | Ctype | ICU Locale | ICU Rules | Access privileges
-----------+----------+----------+-----------------+---------+---------+------------+-----------+-----------------------
postgres | postgres | UTF8 | libc | C | C.UTF-8 | | |
template0 | postgres | UTF8 | libc | C | C.UTF-8 | | | =c/postgres +
| | | | | | | | postgres=CTc/postgres
template1 | postgres | UTF8 | libc | C | C.UTF-8 | | | postgres=CTc/postgres+
| | | | | | | | =c/postgres
testkr0m | postgres | UTF8 | libc | C | C.UTF-8 | | |
(4 rows)
su postgres -c 'psql -d testkr0m -c "SELECT * FROM employees;"'
id | first_name | last_name | age | created_at
----+------------+-----------+-----+----------------------------
1 | John | Doe | 30 | 2024-11-02 10:33:12.5319
2 | Jane | Smith | 25 | 2024-11-02 10:33:12.555151
(2 rows)
También puede resultar interesante empipar la salida del restore a un fichero y no directamente a la CLI de PostgreSQL para guardar el backup en un fichero sin tocar la DB:
writer=sh -c 'cat >/var/tmp/postgres.sql'
En el director:
Creamos un FileSet nuevo con otra configuración de Bpipe.
vi /usr/local/etc/bareos/bareos-dir.d/fileset/sys-postgresBpipeFile.conf
FileSet {
Name = "sys-postgresBpipeFile"
Include {
Options {
Signature = XXH128
Compression = LZ4
}
# System files:
File = /etc/
File = /root/
File = /home/
# Database config files:
File = /var/db/postgres/data16/postgresql.conf
File = /var/db/postgres/data16/pg_hba.conf
File = /var/db/postgres/data16/pg_ident.conf
# Bpipe database dump
# FreeBSD pg_dumpall absolute path
Plugin = "bpipe:file=/POSTGRESQL/dump.sql:reader=su postgres -c '/usr/local/bin/pg_dumpall --clean':writer=sh -c 'cat >/var/tmp/postgres.sql'"
}
}
vi /etc/bareos/bareos-dir.d/fileset/sys-postgresBpipeFile.conf
FileSet {
Name = "sys-postgresBpipeFile"
Include {
Options {
Signature = XXH128
Compression = LZ4
}
# System files:
# Linux: PostgreSQL config files postgresql.conf, pg_hba.conf and pg_ident.conf under /etc
File = /etc/
File = /root/
File = /home/
# Bpipe database dump
# Linux
Plugin = "bpipe:file=/POSTGRESQL/dump.sql:reader=su postgres -c 'pg_dumpall --clean':writer=sh -c 'cat >/var/tmp/postgres.sql'"
}
}
Cambiamos el FileSet:
vi /usr/local/etc/bareos/bareos-dir.d/job/CLIENT_NAME-job.conf
vi /etc/bareos/bareos-dir.d/job/CLIENT_NAME-job.conf
Job {
Name = "CLIENT_NAME-job"
Client = "CLIENT_NAME-fd"
JobDefs = "DefaultJob"
Level = Full
FileSet="sys-postgresBpipeFile"
}
Reiniciamos el director:
service bareos-dir restart
systemctl restart bareos-dir
Procedemos a realizar el backup desde la interfaz web indicando el FileSet, es necesario realizar un backup de nuevo ya que en los restores se utilizan los parámetros del momento del backup: Jobs -> Run
Debería de terminar sin dar problemas:
Eliminamos la base de datos desde la CLI de PostgresSQL:
su postgres -c 'psql -c "DROP DATABASE testkr0m;"'
su postgres -c 'psql -c "\l"'
List of databases
Name | Owner | Encoding | Locale Provider | Collate | Ctype | ICU Locale | ICU Rules | Access privileges
-----------+----------+----------+-----------------+---------+---------+------------+-----------+-----------------------
postgres | postgres | UTF8 | libc | C | C.UTF-8 | | |
template0 | postgres | UTF8 | libc | C | C.UTF-8 | | | =c/postgres +
| | | | | | | | postgres=CTc/postgres
template1 | postgres | UTF8 | libc | C | C.UTF-8 | | | postgres=CTc/postgres+
| | | | | | | | =c/postgres
(3 rows)
Procedemos con la restauración: Restore
Es muy important deshabilitar la opción “Merge all client filesets” ya que si no lo hacemos el árbol de ficheros a restaurar de la derecha será una vista de la combinación de todos los backups de este cliente, nosotros solo queremos los ficheros del backup indicado. Seleccionamos el fichero virtual /POSTGRESQL/dump.sql
en el árbol de la derecha.
El job de restore debería de terminar correctamente:
Pero esta vez no ha restaurado el backup en la DB, si no que ha generado el fichero en el directorio indicado en la config del FileSet sys-postgresBpipeFile:
ls -la /var/tmp/postgres.sql
-rw-r----- 1 root wheel 6644 Nov 2 11:04 /var/tmp/postgres.sql
Cargamos el fichero en la DB:
su postgres -c psql < /var/tmp/postgres.sql
Consultamos los datos restaurados:
su postgres -c 'psql -c "\l"'
List of databases
Name | Owner | Encoding | Locale Provider | Collate | Ctype | ICU Locale | ICU Rules | Access privileges
-----------+----------+----------+-----------------+---------+---------+------------+-----------+-----------------------
postgres | postgres | UTF8 | libc | C | C.UTF-8 | | |
template0 | postgres | UTF8 | libc | C | C.UTF-8 | | | =c/postgres +
| | | | | | | | postgres=CTc/postgres
template1 | postgres | UTF8 | libc | C | C.UTF-8 | | | postgres=CTc/postgres+
| | | | | | | | =c/postgres
testkr0m | postgres | UTF8 | libc | C | C.UTF-8 | | |
(4 rows)
su postgres -c 'psql -d testkr0m -c "SELECT * FROM employees;"'
id | first_name | last_name | age | created_at
----+------------+-----------+-----+----------------------------
1 | John | Doe | 30 | 2024-11-02 10:33:12.5319
2 | Jane | Smith | 25 | 2024-11-02 10:33:12.555151
(2 rows)
Mucho cuidado porque cuando restauramos se aplican los parámetros de Bpipe del momento en el que se tomó el backup, no el que haya en el FileSet en ese momento(incluso habiendo reiniciado el director) cuando se hace el restore, estos datos fueron guardados en el catalog cuando se hizo el backup.
Se pueden consultar los parámetros del FileSet de un backup desde la bconsole en el director:
bconsole
list jobs
+-------+------------------+-----------------+---------------------+----------+------+-------+----------+------------+-----------+
| jobid | name | client | starttime | duration | type | level | jobfiles | jobbytes | jobstatus |
+-------+------------------+-----------------+---------------------+----------+------+-------+----------+------------+-----------+
| 1 | BareosClient-job | BareosClient-fd | 2024-11-02 09:52:24 | 00:00:01 | B | F | 8 | 38,963,186 | T |
| 2 | RestoreFiles | BareosClient-fd | 2024-11-02 09:54:03 | 00:00:02 | R | F | 1 | 4,040,720 | T |
| 3 | BareosClient-job | BareosClient-fd | 2024-11-02 10:23:02 | 00:00:01 | B | F | 797 | 3,239,901 | T |
| 4 | RestoreFiles | BareosClient-fd | 2024-11-02 10:28:12 | 00:00:02 | R | F | 1 | 4,235 | T |
| 5 | BareosClient-job | BareosClient-fd | 2024-11-02 10:34:26 | 00:00:01 | B | F | 797 | 3,239,899 | T |
| 6 | RestoreFiles | BareosClient-fd | 2024-11-02 10:37:20 | 00:00:03 | R | F | 1 | 4,234 | T |
| 7 | BareosClient-job | BareosClient-fd | 2024-11-02 10:47:31 | 00:00:02 | B | F | 794 | 3,221,993 | T |
| 8 | RestoreFiles | BareosClient-fd | 2024-11-02 10:51:33 | 00:00:05 | R | F | 1 | 6,644 | T |
| 9 | BareosClient-job | BareosClient-fd | 2024-11-02 10:59:59 | 00:00:02 | B | F | 794 | 3,221,993 | T |
| 10 | RestoreFiles | BareosClient-fd | 2024-11-02 11:04:28 | 00:00:03 | R | F | 1 | 6,644 | T |
+-------+------------------+-----------------+---------------------+----------+------+-------+----------+------------+-----------+
sqlquery
SELECT Job.JobId, Job.Name, FileSet.FileSet, FileSet.FileSetId FROM Job, FileSet WHERE Job.FileSetId = FileSet.FileSetId AND Job.JobId = XX;
SELECT Job.JobId, Job.Name, FileSet.FileSet, FileSet.FileSetId FROM Job, FileSet WHERE Job.FileSetId = FileSet.FileSetId AND Job.JobId = 9;
+-------+------------------+-----------------------+-----------+
| jobid | name | fileset | filesetid |
+-------+------------------+-----------------------+-----------+
| 9 | BareosClient-job | sys-postgresBpipeFile | 4 |
+-------+------------------+-----------------------+-----------+
Enter SQL query: ENTER
End query mode.
list filesets
| 4 | sys-postgresBpipeFile | L9Ng76h0Mx/Og0gHH8/ZfD | 2024-11-02 10:59:57 | FileSet {
Name = "sys-postgresBpipeFile"
Include {
Options {
Signature = "XXH128"
Compression = "LZ4"
HardLinks = No
AclSupport = Yes
XattrSupport = Yes
}
File = "/etc/"
File = "/root/"
File = "/home/"
Plugin = "bpipe:file=/POSTGRESQL/dump.sql:reader=su postgres -c '/usr/local/bin/pg_dumpall --clean':writer=sh -c 'cat >/var/tmp/postgres.sql'"
}
}
|
Si en un momento dado modificar la orden indicada en el FileSet, podemos sobreescribirla desde la interfaz web, en este caso quiero restaurar el dump con un nombre distinto postgres2.sql. Pero si pegamos los parámetros tal cual no parsea correctamente los argumentos:
bpipe:file=/POSTGRESQL/dump.sql:reader=su postgres -c 'pg_dumpall --clean':writer=sh -c 'cat >/var/tmp/postgres2.sql'
Obtendremos un error:
Invalid keyword: postgres
![]() |
![]() |
En cambio si preparamos un script, no se quejará.
En el cliente:
vi dumpToFile.sh
#!/usr/local/bin/bash
cat >/var/tmp/postgres2.sql
#!/bin/bash
cat >/var/tmp/postgres2.sql
chmod 700 dumpToFile.sh
También podemos dejar preparado el script de volcado directo a la DB:
vi dumpToDB.sh
#!/usr/local/bin/bash
su postgres -c /usr/local/bin/psql
#!/bin/bash
su postgres -c /usr/local/bin/psql
chmod 700 dumpToDB.sh
Y en la interfaz web le pasamos solo el writer ya que estamos restaurando:
bpipe:file=/POSTGRESQL/dump.sql:writer=/root/dumpToFile.sh
bpipe:file=/POSTGRESQL/dump.sql:writer=/root/dumpToDB.sh

Podemos ver el fichero restaurado:
ls -la /var/tmp/postgres2.sql
-rw-r----- 1 root wheel 0 Nov 2 11:26 /var/tmp/postgres2.sql
Bpipe también podría ser utilizado para backupear PostgresSQLs remotos desde un servidor que tenga acceso a dicha base de datos:
FileSet {
Name = "postgresqlBpipeRemote"
Include {
Plugin = "bpipe:file=/POSTGRESQL/dump.sql:reader=pg_dumpall -h <hostname> -U <username> -W <password>:writer=psql -h <hostname> -U <username> -W <password>"
Options {
Signature = XXH128
Compression = LZ4
}
}
}
PostgreSQL Python plugin:
El plugin en Python de PostgreSQL nos permitirá realizar backups físicos, esto implica una mayor velocidad tanto de dump como de restore, pero por contraparte ocupará mas espacio en el servidor de Bareos y no podremos restaurar solo partes de la DB.
El único inconveniente es que por el momento(2024/20/29) no soporta PostgreSQL17 aunque están en
ello
, en mis pruebas los backups Full
funcionaron sin problemas, pero los backups Incrementales
no debido a unos cambios en la gestión de los ficheros WAL
, el error mostrado con la versión 17 es el siguiente:
Fatal error: python3-fd-mod: Timeout waiting 60 sec. for wal file 000000120000000000000047 to be archived
Por suerte el plugin funciona perfectamente con PostgreSQL16 que es la versión que instala por defecto en Ubuntu24.04 y en FreeBSD también la tenemos disponible de forma binaria sin problema.
Otro aspecto a tener en cuenta es que este plugin no soporta backups Diferenciales
aunque parece ser porque
PostgreSQL directamente no los soporta
:
Differential backups are not supported! Only Full and Incremental
Y si se actualiza entre major versions los backups anteriores no servirán para la versión actualizada. Esto obliga a reiniciar el histórico de backups.
Las principales ventajas que este plugin presenta son:
- Mayor velocidad de backup ya que es un backup físico.
- No necesita el doble de espacio en disco en el servidor PostgreSQL.
- Point-In-Time-Restore (PITR), restauración a una fecha y hora determinada.
- Si hacemos backups
Ìncrementales
se pueden backupear bases de datos muy grandes, ya que solo se copian los ficheros WAL nuevos.
Antes de empezar debemos tener claros algunos conceptos:
- En todo servidor PostgreSQL las querys siempre se escriben en un fichero
WAL
antes de ser ejecutadas en la DB(independientemente de si hay replicación o backups configurados) este fichero se escribe en el directorioDATA_DIR/pg_wal
. - PostgreSQL genera ficheros
WAL
como resultado de las operaciones pendientes en la base de datos, si se produce un apagado abrupto, se leen las operaciones y se aplican. - Podemos utilizar estos ficheros para realizar backups
Incrementales
, es decir sacar un backup base y luego ir aplicando ficherosWAL
, de este modo podemos backupear bases de datos muy grandes ya que solo vamos a ir copiando los ficheros WAL, no la base de datos entera. Pero debemos tener en cuenta que cuanto mas espaciemos losFull
backups mas tardará un restore, ya que se tendrán que aplicar muchos masWAL
files sobre esa base. - Los backups
Incrementales
solo tienen sentido en bases de datos grandes donde solo se modifica una pequeña parte de estas. Para bases de datos pequeñas o bases de datos grandes con muchos cambios PostgreSQL recomiendaFull
backups . - Para poder almacenar los ficheros
WAL(DATA_DIR/pg_wal)
se debe configurar elarchive_command
, que simplemente copia el ficheroDATA_DIR/pg_wal
a otro directorio antes de que sea reutilizado, manteniendo de este modo un histórico de operaciones realizadas en la DB. - El
DATA_DIR
se restaura por un lado y los ficherosWALL
archivados por otro, estos últimos mediante el comandorestore_command
configurado en PostgreSQL. - Si queremos restaurar hasta X PITR debemos indicarlo mediante el parámetro:
recovery_target_time
= ‘yyyy-mm-dd hh:mm:ss.sss’
Con estas imágenes quedará mas claro la diferencia entre DATA_DIR/pg_wal
y WALLs archivados
.
DATA_DIR/pg_wal | Archived WALLs |
---|---|
![]() |
![]() |
El proceso de backup variará según el tipo de backup:
Full backup | Incremental Backup |
---|---|
![]() |
![]() |
Por otro lado el
proceso de restauración
es el siguiente:
También podemos ver su funcionamiento en este video.
Para que el plugin funcione debemos habilitar el WAL
archiving en los servidores PostgreSQL.
mkdir -p /var/lib/pgsql/wal_archive
chown postgres:postgres /var/lib/pgsql/wal_archive
vi /var/db/postgres/data16/postgresql.conf
vi /etc/postgresql/16/main/postgresql.conf
wal_level = replica
archive_mode = on
# If file doesnt exist in destination, copy it:
# Archive commands and libraries should generally be designed to refuse to overwrite any pre-existing archive file.
archive_command = 'test ! -f /var/lib/pgsql/wal_archive/%f && cp %p /var/lib/pgsql/wal_archive/%f'
El archive_command contempla varios parámetros:
- %p: El path del fichero a archivar, este es relativo al
DATA_DIR
de PostgreSQL. - %f: Solo el nombre del fichero a archivar.
NOTA: Si queremos utilizar el carácter %
en el comando, debemos escaparlo utilizando %%
.
Otro aspecto importante es que el comando de archivado solo debe retornar 0 cuando haya terminado satisfactoriamente ya que en tal caso PostgreSQL asumirá que se ha archivado correctamente y el fichero WAL(DATA_DIR/pg_wal)
será eliminado o reutilizado. Por otro lado si el comando de archivado no retorna 0, PostgreSQL asumirá que no se archivó correctamente y seguirá intentándolo periódicament hasta conseguirlo, esto es peligroso ya que los ficheros WAL(DATA_DIR/pg_wal)
nunca serán reciclados, consumiendo mucho espacio en el servidor y pudiendo dejar sin servicio el PostgreSQL.
Si la velocidad de archivado no es suficiente y estamos haciendo backups Incremetales
el margen de pérdida de datos en caso de catástrofe es mayor, ya que solo estamos copiando los ficheros WAL
archivados. Este retraso de archivado también implica que le directorio WAL(DATA_DIR/pg_wal)
crecerá.
En estos casos podemos sustituir el comando de archivado por una
archive_library
escrita en C
lo que nos proporcionará un rendimiento mucho mayor que un script de shell.
Si por el motivo que sea queremos dejar de archivar temporalmente, se puede definir archive_command
a empty ‘’, esto hará que los ficheros WAL
que debían ser archivados se acumulen en DATA_DIR/pg_wal
hasta que se reasigne el archive_command
.
Client:
Instalamos el plugin:
pkg install bareos.com-filedaemon-python-plugins-common bareos.com-filedaemon-python3-plugin py311-dateutils py311-pg8000
El plugin no tiene paquete para FreeBSD, pero podemos descargarlo del repo de GitHub:
wget https://raw.githubusercontent.com/bareos/bareos/602dbc78286fdd823ddf856fe31191c03269be66/core/src/plugins/filed/python/postgresql/bareos-fd-postgresql.py
cp bareos-fd-postgresql.py /usr/local/lib/bareos/plugins/
NOTA: El otro fichero que se instala en Linux bareos-fd-postgres.py parece ser una version vieja que se pone por compatibilidad que será eliminada en Bareos2.4, pero no hace falta instalarla en FreeBSD.
apt install bareos-filedaemon-postgresql-python-plugin python3-pg8000
Indicamos el plugin a utilizar en la configuración del FileDaemon:
vi /usr/local/etc/bareos/bareos-fd.d/client/myself.conf
Client {
Name = CLIENT_NAME-fd
Maximum Concurrent Jobs = 20
# remove comment from "Plugin Directory" to load plugins from specified directory.
# if "Plugin Names" is defined, only the specified plugins will be loaded,
# otherwise all filedaemon plugins (*-fd.so) from the "Plugin Directory".
#
# FreeBSD:
Plugin Directory = "/usr/local/lib/bareos/plugins"
Plugin Names = "python3"
}
vi /etc/bareos/bareos-fd.d/client/myself.conf
Client {
Name = CLIENT_NAME-fd
Maximum Concurrent Jobs = 20
# remove comment from "Plugin Directory" to load plugins from specified directory.
# if "Plugin Names" is defined, only the specified plugins will be loaded,
# otherwise all filedaemon plugins (*-fd.so) from the "Plugin Directory".
#
# Linux:
Plugin Directory = /usr/lib/bareos/plugins
Plugin Names = "python3"
}
Reiniciamos el FileDaemon:
service bareos-fd restart
systemctl restart bareos-fd
Director:
Creamos un FileSet llamado sys-postgresPlugin que backupee los directorios /etc, /root, /home y los ficheros de configuración de PostgreSQL además de la DB mediante el plugin de PostgreSQL.
vi /usr/local/etc/bareos/bareos-dir.d/fileset/sys-postgresPlugin.conf
FileSet {
Name = "sys-postgresPlugin"
Include {
Options {
Signature = XXH128
Compression = LZ4
}
# System files:
File = /etc/
File = /root/
File = /home/
# Database config files:
File = /var/db/postgres/data16/postgresql.conf
File = /var/db/postgres/data16/pg_hba.conf
File = /var/db/postgres/data16/pg_ident.conf
# PostgreSQL plugin
# FreeBSD: grep unix_socket_directories /var/db/postgres/data16/postgresql.conf
# /tmp
Plugin = "python"
":module_name=bareos-fd-postgresql"
":db_host=/tmp"
":db_user=postgres"
":wal_archive_dir=/var/lib/pgsql/wal_archive/"
":ignore_subdirs=pg_replslot,pg_dynshmem,pg_notify,pg_serial,pg_snapshots,pg_stat_tmp,pg_subtrans,pgsql_tmp"
":switch_wal=true"
":start_fast=true"
":stop_wait_wal_archive=true"
}
}
vi /etc/bareos/bareos-dir.d/fileset/sys-postgresPlugin.conf
FileSet {
Name = "sys-postgresPlugin"
Include {
Options {
Signature = XXH128
Compression = LZ4
}
# System files:
# Linux: PostgreSQL config files postgresql.conf, pg_hba.conf and pg_ident.conf under /etc
File = /etc/
File = /root/
File = /home/
# PostgreSQL plugin
# Linux: grep unix_socket_directories /etc/postgresql/16/main/postgresql.conf
# /var/run/postgresql
Plugin = "python"
":module_name=bareos-fd-postgresql"
":db_host=/var/run/postgresql/"
":db_user=postgres"
":wal_archive_dir=/var/lib/pgsql/wal_archive/"
":ignore_subdirs=pg_replslot,pg_dynshmem,pg_notify,pg_serial,pg_snapshots,pg_stat_tmp,pg_subtrans,pgsql_tmp"
":switch_wal=true"
":start_fast=true"
":stop_wait_wal_archive=true"
}
}
La lista de parámetros que soporta el plugin podemos encontrarla en la web oficial de Bareos .
El parámetro ignore_subdirs
podemos averiguarlo de la
documantación de PostgreSQL
.
El parámetro start_fast
puede resultar útil sobretodo mientras hagamos prubeas:
By default, the backup will start after a checkpoint which can take some time.
If start_fast_start is true, pg_backup_start will be executed as quickly as possible.
This enforces an immediate checkpoint which can cause a spike in I/O operations and slowing any concurrently executing queries. Default: False
Otra opción si el servidor tiene poca actividad sería configurar archive_timeout
para forzar un cambio de WAL
segment cada X tiempo, pero hay que tener en cuenta que estos ficheros WAL
aunque se hayan “forzado” ocuparán lo mismo que los ficheros WAL
normales, por lo tanto no se debe poner un número muy bajo ya que el servidor PostgreSQL podría quedarse sin espacio fácilmente.
Podemos leer la recomendación de la documantación oficial de PostgreSQL :
archive_timeout settings of a minute or so are usually reasonable.
Debemos tener en cuenta que cuando se hace un backup Bareos copia el DATA_DIR
y los WALs
archivados, una vez realizado el backup estos WALs
archivados ya no son necesarios pero no los elimina automáticamente.
While the PostgreSQL plugin backups only the required files from the WAL archive directory, old files are not removed automatically.
La idea es crear un RunScript-Before
que liste los WALs existentes antes del backup y un RunScript-After
que elimine los WALs de la lista generada por el RunScript-Before
.
Cambiamos el FileSet a sys-postgresPlugin y ejecutamos los scripts RunScript-Before
y RunScript-After
:
vi /usr/local/etc/bareos/bareos-dir.d/job/CLIENT_NAME-job.conf
vi /etc/bareos/bareos-dir.d/job/CLIENT_NAME-job.conf
Job {
Name = "CLIENT_NAME-job"
Client = "CLIENT_NAME-fd"
JobDefs = "DefaultJob"
Level = Full
FileSet="sys-postgresPlugin"
RunScript {
FailJobOnError = Yes
RunsOnClient = Yes
RunsWhen = Before
Command = "/root/listWALs.sh"
}
RunScript {
RunsOnSuccess = Yes
RunsOnClient = Yes
RunsWhen = After
Command = "/root/clearWALs.sh"
}
}
Reiniciamos el Director:
service bareos-dir restart
systemctl restart bareos-dir
Cliente:
El script de listar los WALs sería el siguiente:
vi /root/listWALs.sh
#!/usr/local/bin/bash
ls -l /var/lib/pgsql/wal_archive > /tmp/WALLlist
#!/bin/bash
ls -l /var/lib/pgsql/wal_archive > /tmp/WALLlist
El script de limpiar los WALs sería el siguiente:
vi /root/clearWALs.sh
#!/usr/local/bin/bash
for WALL in `cat /tmp/WALLlist | awk '{print $9}'`; do
rm -f /var/lib/pgsql/wal_archive/$WALL
done;
rm /tmp/WALLlist
#!/bin/bash
for WALL in `cat /tmp/WALLlist | awk '{print $9}'`; do
rm -f /var/lib/pgsql/wal_archive/$WALL
done;
rm /tmp/WALLlist
Asignamos los permisos correctos:
chmod 700 listWALs.sh
chmod 700 clearWALs.sh
PostgreSQL permite definir reglas de acceso a las bases de datos. Estas son definidas en el fichero de configuración pg_hba.conf
:
TYPE DATABASE USER ADDRESS METHOD
local/host DB_NAME USERNAME ADDRESS trust/peer/scram-sha-256...
- Type:
- local: Acceso de usuarios locales al sistema.
- host: Acceso de usuarios remotos al sistema.
- Database:
- DB_NAME: Nombre de la base de datos a la que podrá acceder el usuario.
- User:
- USERNAME: Nombre de usuario.
- Address:
- ADDRESS: Dirección IP o nombre de host desde donde conectará el usuario en caso de no ser local.
- Method:
- trust: Acceso por parte de cualquier usuario local sin autenticación, es decir, sin password. El único requisito es que el usuario debe conectar con un
ROLE
de PostgreSQL existente, por defecto postgres. - peer: Acceso por parte de cualquier usuario local sin autenticación, es decir, sin password. Pero el nombre del usuario del sistema debe coincidir con el nombre del
ROLE
con el que conecte. - scram-sha-256: Acceso con autenticación.
- trust: Acceso por parte de cualquier usuario local sin autenticación, es decir, sin password. El único requisito es que el usuario debe conectar con un
Por defecto PostgreSQL genera el ROLE
postgres, veamos un ejemplo de usuario local con método trust
indicando un ROLE
existente:
local all all trust
BareosClient # ~> id
uid=0(root) gid=0(wheel) groups=0(wheel),5(operator)
BareosClient # ~> psql -U postgres
psql (16.4)
Type "help" for help.
postgres=#
Ahora un ejemplo con método peer
también con un ROLE
existente:
local all all peer
root@sys-bareos-client:~# id
uid=0(root) gid=0(root) groups=0(root)
root@sys-bareos-client:~# psql -U postgres
psql: error: connection to server on socket "/var/run/postgresql/.s.PGSQL.5432" failed: FATAL: Peer authentication failed for user "postgres"
Si pasamos al usuario postgres este por defecto conecta con el ROLE
postgres por lo tanto el usuario y el ROLE
coinciden y permite el acceso a la DB:
root@sys-bareos-client:~# su postgres -c psql
psql (16.4)
Type "help" for help.
postgres=#
En FreeBSD por defecto permite el acceso a cualquier usuario local utiilizando trust
, simplemente debe conectar con un ROLE
existente. Como en el director hemos configurado el FileSet con el plugin db_user=postgres
utilizará el usuario root con el que corre Bareos y el ROLE
postgres indicado en el plugin.
En Linux en cambio solo se permite el acceso a los usuarios locales mediante peer
, este método requiere que el usuario del sistema coincida con el ROLE
, pero root no coincide con postgres.
Para que funcione debemos hacer que el usuario root pueda conectar con el ROLE
postgres, para ello modificamos el fichero de configuración de PostgreSQL del siguiente modo:
vi /etc/postgresql/16/main/pg_hba.conf
# TYPE DATABASE USER ADDRESS METHOD
#local all postgres peer
local all postgres trust
Reiniciamos el PostgreSQL:
systemctl restart postgresql
Podemos comprobar el acceso desde la shell de root tal como hará Bareos:
psql -U postgres -h /tmp
psql -U postgres -h /var/run/postgresql
Client:
Configuramos el comando a ejecutar para restaurar la DB desde los ficheros WAL
.
vi /var/db/postgres/data16/postgresql.conf
vi /etc/postgresql/16/main/postgresql.conf
restore_command = 'cp /var/lib/pgsql/wal_archive/%f %p'
Reiniciamos PostgreSQL:
service postgresql restart
systemctl restart postgresql
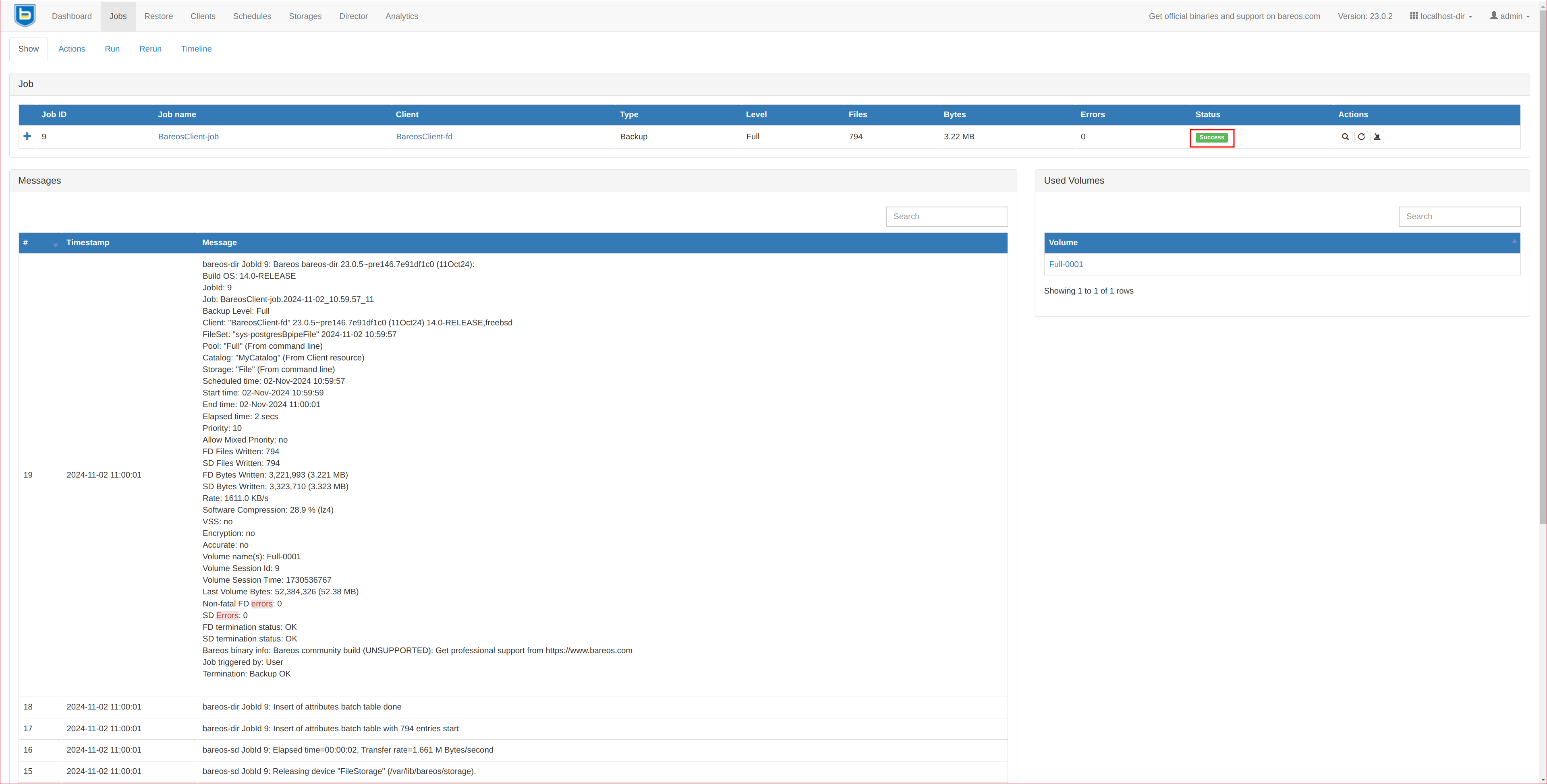
Realizamos un backup desde la interfaz web indicando el FileSet: Jobs -> Run
Debería de terminar sin dar problemas:
Eliminamos la base de datos desde la CLI de PostgresSQL:
su postgres -c 'psql -c "DROP DATABASE testkr0m;"'
su postgres -c 'psql -c "\l"'
List of databases
Name | Owner | Encoding | Locale Provider | Collate | Ctype | ICU Locale | ICU Rules | Access privileges
-----------+----------+----------+-----------------+---------+---------+------------+-----------+-----------------------
postgres | postgres | UTF8 | libc | C | C.UTF-8 | | |
template0 | postgres | UTF8 | libc | C | C.UTF-8 | | | =c/postgres +
| | | | | | | | postgres=CTc/postgres
template1 | postgres | UTF8 | libc | C | C.UTF-8 | | | postgres=CTc/postgres+
| | | | | | | | =c/postgres
(3 rows)
Procedemos con la restauración, es muy important deshabilitar la opción “Merge all client filesets” en la restauración de Bareos ya que si no lo hacemos el árbol de ficheros a restaurar de la derecha será una vista de la combinación de todos los backups de este cliente, nosotros solo queremos los ficheros del backup indicado.
service postgresql stop
rm -rf /var/db/postgres/*
rm -rf /var/lib/pgsql/wal_archive/*
Restauramos desde Bareos: Restore
- Merge all client filesets: No
- Restore location on client: /
- /var/db/postgres
- /var/lib/pgsql/wal_archive/LAST_WALL_FILE+LAST_WALL_FILE.history
Seguimos los consejos de restauración de PostgreSQL :
rm /var/db/postgres/data16/postmaster.pid
rm /var/db/postgres/data16/postmaster.opts
rm /var/db/postgres/data16/pg_internal.init 2>/dev/null
service postgresql start
systemctl stop postgresql
rm -rf /var/lib/postgresql/*
rm -rf /var/lib/pgsql/wal_archive/*
Restauramos desde Bareos: Restore
- Merge all client filesets: No
- Restore location on client: /
- /var/lib/postgresql
- /var/lib/pgsql/wal_archive/LAST_WALL_FILE+LAST_WALL_FILE.history
Seguimos los consejos de restauración de PostgreSQL :
rm /var/lib/postgresql/16/main/postmaster.pid
rm /var/lib/postgresql/16/main/postmaster.opts
rm /var/lib/postgresql/16/main/pg_internal.init 2>/dev/null
systemctl start postgresql
En la siguiente tabla podemos ver las opciones de restauración indicadas:
FreeBSD | Linux |
---|---|
![]() |
![]() |
Al arrancar PostgreSQL veremos tanto el FreeBSD como el Linux errores que pueden ser ignorados:
cp: /var/lib/pgsql/wal_archive/00000002.history: No such file or directory
cp: /var/lib/pgsql/wal_archive/000000010000000000000006: No such file or directory
En la documentación oficial de PostgreSQL también hablan de ello:
A normal recovery will end with a “file not found” message, the exact text of the error message depending upon your choice of restore_command.
You may also see an error message at the start of recovery for a file named something like 00000001.history.
This is also normal and does not indicate a problem in simple recovery situations
Consultamos los datos restaurados:
su postgres -c 'psql -c "\l"'
List of databases
Name | Owner | Encoding | Locale Provider | Collate | Ctype | ICU Locale | ICU Rules | Access privileges
-----------+----------+----------+-----------------+---------+---------+------------+-----------+-----------------------
postgres | postgres | UTF8 | libc | C | C.UTF-8 | | |
template0 | postgres | UTF8 | libc | C | C.UTF-8 | | | =c/postgres +
| | | | | | | | postgres=CTc/postgres
template1 | postgres | UTF8 | libc | C | C.UTF-8 | | | postgres=CTc/postgres+
| | | | | | | | =c/postgres
testkr0m | postgres | UTF8 | libc | C | C.UTF-8 | | |
(4 rows)
su postgres -c 'psql -d testkr0m -c "SELECT * FROM employees;"'
id | first_name | last_name | age | created_at
----+------------+-----------+-----+----------------------------
1 | John | Doe | 30 | 2024-11-02 10:33:12.5319
2 | Jane | Smith | 25 | 2024-11-02 10:33:12.555151
(2 rows)
PostgreSQL Python plugin PITR:
Antes de nada debemos saber que PITR no es compatible con “Instrucciones no transaccionales”:
BEGIN, COMMIT, ROLLBACK, CREATE DATABASE, DROP DATABASE, ALTER SYSTEM, CREATE TABLESPACE, DROP TABLESPACE, TRUNCATE TABLE...
Si se ejecuta alguna de estas instrucciones tendremos que restaurar a un backup “normal”, no podremos hacer uso del PITR.
Para restaurar un backup utilizando PITR debemos variar ligeramente el proceso, pero primero necesitamos entender como PostgreSQL va almacenando los datos en DATA_DIR
y como archiva los WALs
.
Como ya hemos comentado con anterioridad, las operaciones en PostgreSQL primero se ejecutan en el fichero DATA_DIR/pg_wal
, luego en la base de datos y finalmente el DATA_DIR/pg_wal
es archivado.
En la línea temporal del esquema de abajo podemos ver que los WALs archivados
son los datos mas antiguos mientras que el DATA_DIR/pg_wal
son los mas recientes.
En Temp1
se crea un backup mediante Bareos donde se copia DATA_DIR
y los ficheros WAL archivados
, acto seguido se eliminan los WAL archivados
que se acaban de backupear mediante RunScript-After
.
Estos WALs
backupeados y eliminados son las operaciones que la DB ha realizado desde Start
hasta Temp1
-(DATA_DIR/pg_wal)
, de Temp1
a Temp2
ocurre exactamente igual.
Ahora en Temp2
alguien borra datos críticos y queremos restaurarlos, el backup fué tomado en Temp1
pero de Temp1
a Temp2
hay datos que no queremos perder y sabemos que esos datos están en los WAL archivados
+DATA_DIR/pg_wal
generados de Temp1
a Temp2
.

Los pasos de restauración son:
- Parar el servidor PostgreSQL.
- Copiar los ficheros
WAL
delDATA_DIR
. - Limpiar el
DATA_DIR
. - NO eliminar los ficheros de
/var/lib/pgsql/wal_archive
. - Restaurar el backup de
DATA_DIR
realizado en Temp1. - Restaurar el backup de los ficheros
WAL
delDATA_DIR
copiado en el segundo paso. - Indicar un PITR justo antes de Temp2.
- Pasar la DB a modo R/W.
service postgresql stop
rm -rf /root/pg_wal 2>/dev/null
cp -r /var/db/postgres/data16/pg_wal /root/
rm -rf /var/db/postgres/*
Restaurar desde Bareos: Restore
- Merge all client filesets: No
- Restore location on client: /
- /var/db/postgres
rm -rf /var/db/postgres/data16/pg_wal/*
cp -r /root/pg_wal/* /var/db/postgres/data16/pg_wal
chown -R postgres:postgres /var/db/postgres/data16/pg_wal/*
Indicamos la hora de restauración, mucho cuidado con las zonas horarias:
vi /var/db/postgres/data16/postgresql.conf
recovery_target_time = 'yyyy-mm-dd hh:mm:ss.sss'
Arrancamos el servicio:
service postgresql start
Comprobamos que se haya restaurado correctamente, si es así comentamos el recovery_target_time
y habilitamos las escrituras en la DB.
vi /var/db/postgres/data16/postgresql.conf
# recovery_target_time = 'yyyy-mm-dd hh:mm:ss.sss'
Habilitamos las escrituras en la DB:
psql -U postgres -c "SELECT pg_wal_replay_resume()"
systemctl stop postgresql
rm -rf /root/pg_wal 2>/dev/null
cp -r /var/lib/postgresql/16/main/pg_wal /root/
rm -rf /var/lib/postgresql/*
Restaurar desde Bareos: Restore
- Merge all client filesets: No
- Restore location on client: /
- /var/lib/postgresql
rm -rf /var/lib/postgresql/16/main/pg_wal/*
cp -r /root/pg_wal/* /var/lib/postgresql/16/main/pg_wal
chown -R postgres:postgres /var/lib/postgresql/16/main/pg_wal/*
Indicamos la hora de restauración, mucho cuidado con las zonas horarias:
vi /etc/postgresql/16/main/postgresql.conf
recovery_target_time = 'yyyy-mm-dd hh:mm:ss.sss'
Arrancamos el servicio:
systemctl start postgresql
Comprobamos que se haya restaurado correctamente, si es así comentamos el recovery_target_time
y habilitamos las escrituras en la DB.
vi /etc/postgresql/16/main/postgresql.conf
# recovery_target_time = 'yyyy-mm-dd hh:mm:ss.sss'
Habilitamos las escrituras en la DB:
psql -U postgres -c "SELECT pg_wal_replay_resume()"
Pongamos un ejemplo práctico:
- Sat Nov 2 12:23:04 CET 2024: Se hace un backup.
- Sat Nov 2 12:36:01 CET 2024: Se insertan datos importantes.
su postgres -c "psql -d testkr0m -c \"INSERT INTO employees (first_name, last_name, age) VALUES ('Joe', 'Macmillan', 40);\""
- Sat Nov 2 12:40:01 CET 2024: Accidentalmente se eliminan todos los datos de la tabla.
su postgres -c "psql -d testkr0m -c \"DELETE FROM employees;\""
Seguimos los pasos de restauración indicando este PITR:
recovery_target_time = '2024-11-02 12:39:00.000'
Comprobamos los datos restaurados:
su postgres -c 'psql -d testkr0m -c "SELECT * FROM employees;"'
id | first_name | last_name | age | created_at
----+------------+-----------+-----+----------------------------
1 | John | Doe | 30 | 2024-11-02 10:33:12.5319
2 | Jane | Smith | 25 | 2024-11-02 10:33:12.555151
3 | Joe | Macmillan | 40 | 2024-11-02 12:36:01.579415
(3 rows)
PostgreSQL Python plugin PITR Timelines:
Al realizar restores PITR se introduce el concepto de
Timeline
, esto no es mas que una segunda línea temporal desde un restore PITR. PostgreSQL permite ir saltando de una Timeline
a otra siempre y cuando se tengan los ficheros WAL
de cada una de ellas, tan solo debemos indicar la fecha a la que restaurar y el Timeline
en el que estaba ese punto.
Pongamos un ejemplo y se verá mas fácilemnte, imaginemos el siguiente escenario donde tenemos los siguientes registros:
su postgres -c "psql -d testkr0m -c \"INSERT INTO employees (first_name, last_name, age) VALUES ('John', 'Doe', 30);\""
su postgres -c "psql -d testkr0m -c \"INSERT INTO employees (first_name, last_name, age) VALUES ('Jane', 'Smith', 25);\""
Realizamos un backup en Temp1: Mon Nov 4 09:03:00 CET 2024
Seguimos realizando INSERTs
: Mon Nov 4 09:05:41 CET 2024
su postgres -c "psql -d testkr0m -c \"INSERT INTO employees (first_name, last_name, age) VALUES ('Joe', 'Macmillan', 40);\""

Segumios realizando INSERTs
: Mon Nov 4 09:07:43 CET 2024
su postgres -c "psql -d testkr0m -c \"INSERT INTO employees (first_name, last_name, age) VALUES ('Cameron', 'Howe', 23);\""

su postgres -c 'psql -d testkr0m -c "SELECT * FROM employees;"'
id | first_name | last_name | age | created_at
----+------------+-----------+-----+----------------------------
1 | John | Doe | 30 | 2024-11-04 09:02:34.703267
2 | Jane | Smith | 25 | 2024-11-04 09:02:34.722347
3 | Joe | Macmillan | 40 | 2024-11-04 09:05:41.786131
4 | Cameron | Howe | 23 | 2024-11-04 09:07:43.140263
(4 rows)
Hasta que alguien accidentalmente borra todos los datos de la tabla en Temp2: Mon Nov 4 09:11:45 CET 2024
su postgres -c "psql -d testkr0m -c \"DELETE FROM employees;\""

Restauramos al punto PITR: 09:05:42-TL1 de donde nace la Timeline2
:
Paramos el servicio:
service postgresql stop
Backupeamos el DATA_DIR/pg_wal
de la Timeline1
:
rm -rf /root/pg_wal_TL1 2>/dev/null
cp -r /var/db/postgres/data16/pg_wal /root/pg_wal_TL1
Limpiamos el directorio DATA_DIR
:
rm -rf /var/db/postgres/*
Restauramos desde Bareos: Restore
- Merge all client filesets: No
- Restore location on client: /
- /var/db/postgres
Seguimos los consejos de restauración de PostgreSQL :
rm /var/db/postgres/data16/postmaster.pid
rm /var/db/postgres/data16/postmaster.opts
rm /var/db/postgres/data16/pg_internal.init 2>/dev/null
Restauramos los ficheros de DATA_DIR/pg_wal
de la Timeline1
:
rm -rf /var/db/postgres/data16/pg_wal/*
cp -r /root/pg_wal_TL1/* /var/db/postgres/data16/pg_wal
chown -R postgres:postgres /var/db/postgres/data16/pg_wal/*
Indicamos el punto hasta donde debe restaurar:
vi /var/db/postgres/data16/postgresql.conf
recovery_target_time = '2024-11-04 09:05:42.000'
NOTA: Cuando solo ha existido una Timeline
no hace falta indicarla, con la fecha y la hora es suficiente.
Reiniciamos el servicio:
service postgresql start
Comprobamos que se haya restaurado correctamente, si es así comentamos el recovery_target_time y habilitamos las escrituras en la DB.
su postgres -c 'psql -d testkr0m -c "SELECT * FROM employees;"'
id | first_name | last_name | age | created_at
----+------------+-----------+-----+----------------------------
1 | John | Doe | 30 | 2024-11-04 09:02:34.703267
2 | Jane | Smith | 25 | 2024-11-04 09:02:34.722347
3 | Joe | Macmillan | 40 | 2024-11-04 09:05:41.786131
(3 rows)
vi /var/db/postgres/data16/postgresql.conf
#recovery_target_time = '2024-11-04 09:05:42.000'
psql -U postgres -c "SELECT pg_wal_replay_resume()"
Consultamos la Timeline
actual:
psql -U postgres -c "SELECT timeline_id FROM pg_control_checkpoint()"
timeline_id
-------------
2
(1 row)
Paramos el servicio:
systemctl stop postgresql
Backupeamos el DATA_DIR/pg_wal
de la Timeline1
:
rm -rf /root/pg_wal_TL1 2>/dev/null
cp -r /var/lib/postgresql/16/main/pg_wal /root/pg_wal_TL1
Limpiamos el directorio DATA_DIR
:
rm -rf /var/lib/postgresql/*
Restauramos desde Bareos: Restore
- Merge all client filesets: No
- Restore location on client: /
- /var/lib/postgresql
Seguimos los consejos de restauración de PostgreSQL :
rm /var/lib/postgresql/16/main/postmaster.pid
rm /var/lib/postgresql/16/main/postmaster.opts
rm /var/lib/postgresql/16/main/pg_internal.init 2>/dev/null
Restauramos los ficheros de DATA_DIR/pg_wal
de la Timeline1
:
rm -rf /var/lib/postgresql/16/main/pg_wal/*
cp -r /root/pg_wal_TL1/* /var/lib/postgresql/16/main/pg_wal
chown -R postgres:postgres /var/lib/postgresql/16/main/pg_wal/*
Indicamos el punto hasta donde debe restaurar:
vi /etc/postgresql/16/main/postgresql.conf
recovery_target_time = '2024-11-04 09:05:42.000'
NOTA: Cuando solo ha existido una Timeline
no hace falta indicarla, con la fecha y la hora es suficiente.
Reiniciamos el servicio:
systemctl start postgresql
Comprobamos que se haya restaurado correctamente, si es así comentamos el recovery_target_time y habilitamos las escrituras en la DB.
su postgres -c 'psql -d testkr0m -c "SELECT * FROM employees;"'
id | first_name | last_name | age | created_at
----+------------+-----------+-----+----------------------------
1 | John | Doe | 30 | 2024-11-04 09:02:34.703267
2 | Jane | Smith | 25 | 2024-11-04 09:02:34.722347
3 | Joe | Macmillan | 40 | 2024-11-04 09:05:41.786131
(3 rows)
vi /etc/postgresql/16/main/postgresql.conf
#recovery_target_time = '2024-11-04 09:05:42.000'
psql -U postgres -c "SELECT pg_wal_replay_resume()"
Consultamos la Timeline
actual:
psql -U postgres -c "SELECT timeline_id FROM pg_control_checkpoint()"
timeline_id
-------------
2
(1 row)
Seguimos realizando INSERTs
: Mon Nov 4 09:15:52 CET 2024
su postgres -c "psql -d testkr0m -c \"INSERT INTO employees (first_name, last_name, age) VALUES ('Gordon', 'Clark', 39);\""

su postgres -c 'psql -d testkr0m -c "SELECT * FROM employees;"'
id | first_name | last_name | age | created_at
----+------------+-----------+-----+----------------------------
1 | John | Doe | 30 | 2024-11-04 09:02:34.703267
2 | Jane | Smith | 25 | 2024-11-04 09:02:34.722347
3 | Joe | Macmillan | 40 | 2024-11-04 09:05:41.786131
36 | Gordon | Clark | 39 | 2024-11-04 09:15:51.910027
(4 rows)
Pero nos damos cuenta de que Cameron no está por lo que decidimos volver a PITR2: 09:07:44-TL1 de donde nace la Timeline3
.
Paramos el servicio:
service postgresql stop
Backupeamos el DATA_DIR/pg_wal
de la Timeline2
:
rm -rf /root/pg_wal_TL2 2>/dev/null
cp -r /var/db/postgres/data16/pg_wal /root/pg_wal_TL2
Limpiamos el directorio DATA_DIR
:
rm -rf /var/db/postgres/*
Restauramos desde Bareos: Restore
- Merge all client filesets: No
- Restore location on client: /
- /var/db/postgres
Seguimos los consejos de restauración de PostgreSQL :
rm /var/db/postgres/data16/postmaster.pid
rm /var/db/postgres/data16/postmaster.opts
rm /var/db/postgres/data16/pg_internal.init 2>/dev/null
Restauramos los ficheros de DATA_DIR/pg_wal
de la Timeline1
:
rm -rf /var/db/postgres/data16/pg_wal/*
cp -r /root/pg_wal_TL1/* /var/db/postgres/data16/pg_wal
chown -R postgres:postgres /var/db/postgres/data16/pg_wal/*
Indicamos el punto hasta donde debe restaurar:
vi /var/db/postgres/data16/postgresql.conf
recovery_target_timeline = '1'
recovery_target_time = '2024-11-04 09:07:44.000'
Iniciamos el servicio:
service postgresql start
Comprobamos que se haya restaurado correctamente, si es así comentamos el recovery_target_time y habilitamos las escrituras en la DB.
su postgres -c 'psql -d testkr0m -c "SELECT * FROM employees;"'
id | first_name | last_name | age | created_at
----+------------+-----------+-----+----------------------------
1 | John | Doe | 30 | 2024-11-04 09:02:34.703267
2 | Jane | Smith | 25 | 2024-11-04 09:02:34.722347
3 | Joe | Macmillan | 40 | 2024-11-04 09:05:41.786131
4 | Cameron | Howe | 23 | 2024-11-04 09:07:43.140263
(4 rows)
vi /var/db/postgres/data16/postgresql.conf
#recovery_target_timeline = '1'
#recovery_target_time = '2024-11-04 09:07:44.000'
psql -U postgres -c "SELECT pg_wal_replay_resume()"
Consultamos la Timeline
actual:
psql -U postgres -c "SELECT timeline_id FROM pg_control_checkpoint()"
timeline_id
-------------
3
(1 row)
Paramos el servicio:
systemctl stop postgresql
Backupeamos el DATA_DIR/pg_wal
de la Timeline2
:
rm -rf /root/pg_wal_TL2 2>/dev/null
cp -r /var/lib/postgresql/16/main/pg_wal /root/pg_wal_TL2
Limpiamos el directorio DATA_DIR
:
rm -rf /var/lib/postgresql/*
Restauramos desde Bareos: Restore
- Merge all client filesets: No
- Restore location on client: /
- /var/lib/postgresql
Seguimos los consejos de restauración de PostgreSQL :
rm /var/lib/postgresql/16/main/postmaster.pid
rm /var/lib/postgresql/16/main/postmaster.opts
rm /var/lib/postgresql/16/main/pg_internal.init 2>/dev/null
Restauramos los ficheros de DATA_DIR/pg_wal
de la Timeline1
:
rm -rf /var/lib/postgresql/16/main/pg_wal/*
cp -r /root/pg_wal_TL1/* /var/lib/postgresql/16/main/pg_wal
chown -R postgres:postgres /var/lib/postgresql/16/main/pg_wal/*
Indicamos el punto hasta donde debe restaurar:
vi /etc/postgresql/16/main/postgresql.conf
recovery_target_timeline = '1'
recovery_target_time = '2024-11-04 09:07:44.000'
Iniciamos el servicio:
systemctl start postgresql
Comprobamos que se haya restaurado correctamente, si es así comentamos el recovery_target_time y habilitamos las escrituras en la DB.
su postgres -c 'psql -d testkr0m -c "SELECT * FROM employees;"'
id | first_name | last_name | age | created_at
----+------------+-----------+-----+----------------------------
1 | John | Doe | 30 | 2024-11-04 09:02:34.703267
2 | Jane | Smith | 25 | 2024-11-04 09:02:34.722347
3 | Joe | Macmillan | 40 | 2024-11-04 09:05:41.786131
4 | Cameron | Howe | 23 | 2024-11-04 09:07:43.140263
(4 rows)
vi /etc/postgresql/16/main/postgresql.conf
#recovery_target_timeline = '1'
#recovery_target_time = '2024-11-04 09:07:44.000'
psql -U postgres -c "SELECT pg_wal_replay_resume()"
Consultamos la Timeline
actual:
psql -U postgres -c "SELECT timeline_id FROM pg_control_checkpoint()"
timeline_id
-------------
3
(1 row)
Ahora vemos que preferimos seguir por la Timeline2
, PITR3: Final-TL2.
Paramos el servicio:
service postgresql stop
Backupeamos el DATA_DIR/pg_wal
de la Timeline3
:
rm -rf /root/pg_wal_TL3 2>/dev/null
cp -r /var/db/postgres/data16/pg_wal /root/pg_wal_TL3
Limpiamos el directorio DATA_DIR
:
rm -rf /var/db/postgres/*
Restauramos desde Bareos: Restore
- Merge all client filesets: No
- Restore location on client: /
- /var/db/postgres
Seguimos los consejos de restauración de PostgreSQL :
rm /var/db/postgres/data16/postmaster.pid
rm /var/db/postgres/data16/postmaster.opts
rm /var/db/postgres/data16/pg_internal.init 2>/dev/null
Restauramos los ficheros de DATA_DIR/pg_wal
de la Timeline2
:
rm -rf /var/db/postgres/data16/pg_wal/*
cp -r /root/pg_wal_TL2/* /var/db/postgres/data16/pg_wal
chown -R postgres:postgres /var/db/postgres/data16/pg_wal/*
Si queremos ir al final de una Timeline
como es el caso, NO hay que indicar fecha, solo la Timeline
, en caso contrario obtendremos errores como estos:
2024-11-04 08:46:11.187 CET [50052] LOG: last completed transaction was at log time 2024-11-04 09:15:51.910801+01
2024-11-04 08:46:11.187 CET [50052] FATAL: recovery ended before configured recovery target was reached
vi /var/db/postgres/data16/postgresql.conf
recovery_target_timeline = '2'
Reiniciamos el servicio:
service postgresql start
Comprobamos que se haya restaurado correctamente, si es así comentamos el recovery_target_time.
su postgres -c 'psql -d testkr0m -c "SELECT * FROM employees;"'
id | first_name | last_name | age | created_at
----+------------+-----------+-----+----------------------------
1 | John | Doe | 30 | 2024-11-04 09:02:34.703267
2 | Jane | Smith | 25 | 2024-11-04 09:02:34.722347
3 | Joe | Macmillan | 40 | 2024-11-04 09:05:41.786131
36 | Gordon | Clark | 39 | 2024-11-04 09:15:51.910027
(4 rows)
vi /var/db/postgres/data16/postgresql.conf
#recovery_target_timeline = '2'
NOTA: No hace falta ejecutar “SELECT pg_wal_replay_resume()” por haber restaurado hasta el final de la Timeline
.
Paramos el servicio:
systemctl stop postgresql
Backupeamos el DATA_DIR/pg_wal
de la Timeline3
:
rm -rf /root/pg_wal_TL3 2>/dev/null
cp -r /var/lib/postgresql/16/main/pg_wal /root/pg_wal_TL3
Limpiamos el directorio DATA_DIR
:
rm -rf /var/lib/postgresql/*
Restauramos desde Bareos: Restore
- Merge all client filesets: No
- Restore location on client: /
- /var/lib/postgresql
Seguimos los consejos de restauración de PostgreSQL :
rm /var/lib/postgresql/16/main/postmaster.pid
rm /var/lib/postgresql/16/main/postmaster.opts
rm /var/lib/postgresql/16/main/pg_internal.init 2>/dev/null
Restauramos los ficheros de DATA_DIR/pg_wal
de la Timeline2
:
rm -rf /var/lib/postgresql/16/main/pg_wal/*
cp -r /root/pg_wal_TL2/* /var/lib/postgresql/16/main/pg_wal
chown -R postgres:postgres /var/lib/postgresql/16/main/pg_wal/*
Si queremos ir al final de una Timeline
como es el caso, NO hay que indicar fecha, solo la Timeline
, en caso contrario obtendremos errores como estos:
2024-11-04 08:46:11.187 CET [50052] LOG: last completed transaction was at log time 2024-11-04 09:15:51.910801+01
2024-11-04 08:46:11.187 CET [50052] FATAL: recovery ended before configured recovery target was reached
vi /etc/postgresql/16/main/postgresql.conf
recovery_target_timeline = '2'
Reiniciamos el servicio:
systemctl start postgresql
Comprobamos que se haya restaurado correctamente, si es así comentamos el recovery_target_time.
su postgres -c 'psql -d testkr0m -c "SELECT * FROM employees;"'
id | first_name | last_name | age | created_at
----+------------+-----------+-----+----------------------------
1 | John | Doe | 30 | 2024-11-04 09:02:34.703267
2 | Jane | Smith | 25 | 2024-11-04 09:02:34.722347
3 | Joe | Macmillan | 40 | 2024-11-04 09:05:41.786131
36 | Gordon | Clark | 39 | 2024-11-04 09:15:51.910027
(4 rows)
vi /etc/postgresql/16/main/postgresql.conf
#recovery_target_timeline = '2'
NOTA: No hace falta ejecutar “SELECT pg_wal_replay_resume()” por haber restaurado hasta el final de la Timeline
.
Backup Incremental standby server:
En la
documentación de PostgreSQL
podemos leer que para que los backups Incrementales
funcionen el backup actual debe ser tomado existiendo un checkpoint posterior al backup anterior, esto siempre pasa en un primary
ya que el propio backup lo provoca.
Pero en un standby
con poca actividad puede que no se haya generado un checkpoint nuevo desde el último backup, provocando el fallo del backup Incremental
.
An incremental backup is only possible if replay would begin from a later checkpoint than for the previous backup upon which it depends.
If you take the incremental backup on the primary, this condition is always satisfied, because each backup triggers a new checkpoint.
On a standby, replay begins from the most recent restartpoint. Therefore, an incremental backup of a standby server can fail if there has been
very little activity since the previous backup, since no new restartpoint might have been created.
Bareos mostrará este tipo de errores:
BareosClient2-fd JobId 80: Warning: python3-fd-mod: Could not get current LSN, last LSN was: 0/8000498: {'S': 'ERROR', 'V': 'ERROR', 'C': '55000',
'M': 'recovery is in progress', 'H': 'WAL control functions cannot be executed during recovery.', 'F': 'xlogfuncs.c', 'L': '287', 'R':
'pg_current_wal_lsn'}
Este problema solo afecta a los modos de backup que utilizan el archivado de ficheros WAL
:
- Postgres Python plugin.
- Postgres Python plugin PITR.
- Postgres Python plugin PITR Timelines.
Tenemos dos opciones:
- Hacer solo backups
Full
ya sea en elprimary
o en elstandby
. - Tener dos
schedules
en Bareos, uno que haga backupsFull
eIncremental
y otro solo conFull
. Según sea el servidorprimary
ostandby
configurar el job para que utilice unschedule
u otro. Pero esto implica que si se hace un cambio de role, tener que reconfigurar el sistema de backups.
Debug:
Para un debug de Bareos podemos consultar el artículo sobre Bareos, sección Debug
Fichero de configuración:
A veces no vemos ciertos cambios aplicados en la base de datos simplemente porque no estamos modificando el fichero correcto, con SHOW config_file
podemos ver el fichero vigente.
su postgres -c 'psql -d testkr0m -c "SHOW config_file;"'
config_file
-----------------------------------------
/var/db/postgres/data16/postgresql.conf
(1 row)
Habilitar logs:
mkdir /var/log/postgresql
chown postgres:postgres /var/log/postgresql
vi /var/db/postgres/data16/postgresql.conf
vi /etc/postgresql/16/main/postgresql.conf
log_destination = 'stderr'
logging_collector = on
log_directory = '/var/log/postgresql'
log_filename = 'postgresql.log'
log_file_mode = 0600
log_rotation_age = 1d
log_rotation_size = 10MB
Reiniciamos PostgreSQL:
service postgresql restart
systemctl restart postgresql
tail -f /var/log/postgresql/postgresql.log
PITR:
Hay que tener en cuenta que la restauración PITR no funciona si se ejecutan “Instrucciones no transaccionales”.
BEGIN, COMMIT, ROLLBACK, CREATE DATABASE, DROP DATABASE, ALTER SYSTEM, CREATE TABLESPACE, DROP TABLESPACE, TRUNCATE TABLE...
Con DROP DATABASE
veremos el siguiente error:
psql -U postgres -d testkr0m -c "SELECT * FROM employees"
psql: error: connection to server on socket "/var/run/postgresql/.s.PGSQL.5432" failed: FATAL: cannot connect to invalid database "testkr0m"
HINT: Use DROP DATABASE to drop invalid databases.
Con DROP/TRUNCATE TABLE
simplemente la query no terminará nunca:
psql -U postgres -d testkr0m -c "SELECT * FROM employees"
Nunca termina
Añálisis logs:
Cuando se hacen restauraciones PITR puede resultar útil cierta información de los logs.
- Cuando se realizó el backup:
grep 'database system was interrupted' /var/log/postgresql/postgresql*.log|tail -n 1|grep 'database system was interrupted'
- PITR donde restaurar:
grep 'starting point-in-time recovery to ' /var/log/postgresql/postgresql*.log|tail -n 1|grep 'starting point-in-time recovery to '
- Punto de parada de la lectura de WALs:
grep 'recovery stopping before commit of transaction' /var/log/postgresql/postgresql*.log|tail -n 1|grep 'recovery stopping before commit of transaction'
Dump de los WALs
:
Obtener las instrucciones contenidas en los ficheros WAL
puede darnos alguna pista de porque se están ejecutando ciertas instrucciones en la base de datos.
/usr/local/bin/pg_waldump /var/lib/pgsql/wal_archive/000000010000000000000002
/usr/lib/postgresql/16/bin/pg_waldump /var/lib/pgsql/wal_archive/000000030000000000000007
Encontrar DELETEs en los WAL files:
for WAL_FILE in /root/pg_wal/*; do echo "WAL: $WAL_FILE" && /usr/local/bin/pg_waldump $WAL_FILE 2>/dev/null|grep DELETE; done
for WAL_FILE in /var/db/postgres/data16/pg_wal/*; do echo "WAL: $WAL_FILE" && /usr/local/bin/pg_waldump $WAL_FILE 2>/dev/null|grep DELETE; done
for WAL_FILE in /var/lib/pgsql/wal_archive/*; do echo "WAL: $WAL_FILE" && /usr/local/bin/pg_waldump $WAL_FILE 2>/dev/null|grep DELETE; done
for WAL_FILE in /root/pg_wal/*; do echo "WAL: $WAL_FILE" && /usr/lib/postgresql/16/bin/pg_waldump $WAL_FILE 2>/dev/null|grep DELETE; done
for WAL_FILE in /var/lib/postgresql/16/main/pg_wal/*; do echo "WAL: $WAL_FILE" && /usr/lib/postgresql/16/bin/pg_waldump $WAL_FILE 2>/dev/null|grep DELETE; done
for WAL_FILE in /var/lib/pgsql/wal_archive/*; do echo "WAL: $WAL_FILE" && /usr/lib/postgresql/16/bin/pg_waldump $WAL_FILE 2>/dev/null|grep DELETE; done
Grepear los “nombres de WAL con DELETES” del paso anterior en los logs de PostgreSQLpara ver si los ejecuta por error.
Ficheros WAL
faltantes:
Podemos comprobar mas o menos que no nos falte ningún WAL
al restaurar, si no hay huecos seguramente estén todos los ficheros necesarios:
ls -la /root/pg_wal*
ls -la /var/lib/postgresql/16/main/pg_wal
ls -la /var/lib/postgresql/16/main/pg_wal/archive_status
ls -la /var/lib/pgsql/wal_archive/
ls -la /root/pg_wal*
ls -la /var/db/postgres/data16/pg_wal/
ls -la /var/db/postgres/data16/pg_wal/archive_status
ls -la /var/lib/pgsql/wal_archive/
Integridad WALs:
for f in /var/lib/pgsql/wal_archive/[0-9A-F][0-9A-F]*[^.backup][^.history]; do
/usr/local/bin/pg_waldump $f > /dev/null 2>&1
if [ $? -eq 0 ]; then
echo "$f OK"
else
echo "$f CORRUPTED"
fi
done
for f in /var/lib/pgsql/wal_archive/[0-9A-F][0-9A-F]*[^.backup][^.history]; do
/usr/lib/postgresql/16/bin/pg_waldump $f > /dev/null 2>&1
if [ $? -eq 0 ]; then
echo "$f OK"
else
echo "$f CORRUPTED"
fi
done
Timelines:
Si queremos ir al final de una Timeline
como es el caso, NO hay que indicar fecha, solo la Timeline
, en caso contrario obtendremos errores como estos:
2024-11-04 08:46:11.187 CET [50052] LOG: last completed transaction was at log time 2024-11-04 09:15:51.910801+01
2024-11-04 08:46:11.187 CET [50052] FATAL: recovery ended before configured recovery target was reached
Podemos consultar la Timeline
actual:
psql -U postgres -c "SELECT timeline_id FROM pg_control_checkpoint()"
También podemos ver los puntos de divergencia en las Timelines
:
ls -la /var/db/postgres/data16/pg_wal/*.history
cat /var/db/postgres/data16/pg_wal/XX.history
ls -la /var/lib/pgsql/wal_archive/*.history
cat /var/lib/pgsql/wal_archive/XX.history
ls -la /var/lib/postgresql/16/main/pg_wal/*.history
cat /var/lib/postgresql/16/main/pg_wal/XX.history
ls -la /var/lib/pgsql/wal_archive/*.history
cat /var/lib/pgsql/wal_archive/XX.history
Servidor sin espacio:
Lo primero será eliminar los ficheros WALs
archivados, estos no son estrictamente necesarios para el funcionamiento de la DB, si hace falta restaurar por PITR hasta algún punto de esos ficheros, no será posible pero al menos la DB seguirá funcionando y siempre podremos restaurar hasta el último backup de Bareos(ya sea Full
o Incremental
).
service postgresql stop
rm -f /var/lib/pgsql/wal_archive/*
service postgresql start
systemctl stop postgresql
rm -f /var/lib/pgsql/wal_archive/*
systemctl start postgresql
Otra posibilidad para el problema del espacio sería
comprimir los WALs
archivados
:
archive_command = 'gzip < %p > /mnt/server/archivedir/%f.gz'
restore_command = 'gunzip < /mnt/server/archivedir/%f.gz > %p'
WAL paths:
No es posible restaurar backups físicos en un servidor con PATHs
distintos
a los que tenía configurado el servidor desde el que se realizó el backup:
CREATE TABLESPACE commands are WAL-logged with the literal absolute path, and will therefore be replayed as tablespace creations with the same absolute path.
Community:
https://discord.com/channels/710918545906597938/710918545906597941